まず、どのようなデータか、データのヘッダを見る。実際のデータ解析はヘッダの編集から処理が始まるのだが、このデータはすでにヘッダの編集が済んでおり、基本的な情報が記載されている。
$ surange < Nshots.su出力は(データが大きいのでちょっと時間がかかる)
----- 内容 19057 traces: : トレースの数 tracl 39069 58125 (39069 - 58125) : トレース番号 tracr 1 19057 (1 - 19057) : トレース番号 fldr 1687 2012 (1687 - 2012) : 発震点番号 tracf 28 96 (96 - 28) : 観測点番号 cdp 900 1300 (900 - 1300) : CDP (CMP) 番号 cdpt 1 69 (1 - 1) trid 1 2 (1 - 1) : データ種別 offset -2435 -170 (-170 - -2435) : オフセット距離 (m) scalel -10000 scalco -10000 counit 1 muts 0 11000 (0 - 0) ns 5500 : サンプル数 dt 2000 : サンプル間隔 (micro second) day 206 hour 21 22 (21 - 22) minute 0 59 (3 - 20) sec 1 59 (45 - 3) -----ヘッダの値が取る範囲が表示される。
次に、データを表示させてみる。 データが大きいので、全部表示せずに一部を切り出す。
例えば、発震点番号(ここではヘッダ fldr に設定されている)が 1800〜1805 までのトレースを取り出して、観測点番号(ここでは tracf )の順に並び替え、tmp_1800.suというデータを作る (取り出す発震点番号の値や範囲、ファイル名は任意でよい)。
$ suwind key=fldr min=1800 max=1805 < Nshots.su > tmp.su $ susort tracf < tmp.su > tmp_1800.su $ rm tmp.suいくつかのヘッダ (fldr, tracf, cdp, offset) の内容を表示する。
$ surange < tmp_1800.su $ sugethw key=fldr,tracf,cdp,offset < tmp_1800.suデータを表示する。
$ suxwigb perc=98 < tmp_1800.su & $ suximage perc=98 < tmp_1800.su &これは海上探査の記録である。記録から、
CDP (CMP) の範囲は 900 - 1300である。 事前の準備や課題その1 で扱った処理後のデータ Nstack.su の surange の出力では
cdp 1 2869 (1 - 2869)である。実は、Nshot.su のデータの観測範囲は Nstack.su のデータの観測範囲の一部である。
$ suwind key=cdp min=1100 max=1100 < Nshots.su > test_cdp1100.su表示してみる。
$ suximage < test_cdp1100.su perc=99 & $ suxwigb < test_cdp1100.su perc=99 &

 
図:波形表示(拡大)、(左)濃淡(イメージ)表示、(右)波形表示
$ suspecfx < test_cdp1100.su | suximage perc=98 & $ suspecfx < test_cdp1100.su | suxgraph & $ suspecfx < test_cdp1100.su | suop op=db | suxgraph &
 
 
図:スペクトル、(左)カラー表示、(右)グラフ(dB)表示。縦軸は周波数(Hz)。
各トレースにどのような周波数成分が含まれているかわかる。
各周波数帯域にどのような成分が含まれているかを見てみる。 簡単なシェルスクリプト create_BPF_panel.sh を使用する。 自分のファイル名に合わせてスクリプトを編集すること。 10 Hz ごとに幅 10 Hz でバンドパスフィルタをかけて並べて表示する。
$ sh create_BPF_panel.sh
 
図:スペクトル、(左)オリジナル、(右)それぞれ 0-10 Hz, 10-20 Hz, 20-30 Hz, 30-40 Hz,.....のバンドパスフィルタ適用後。
バンドパスフィルタをかけて表示してみる。下の例では f=10,20,70,80 としている。
$ sufilter f=10,20,70,80 amps=0,1,1,0 < test_cdp1100.su | suspecfx | suximage perc=98 & $ sufilter f=10,20,70,80 amps=0,1,1,0 < test_cdp1100.su | suspecfx | suxgraph & $ sufilter f=10,20,70,80 amps=0,1,1,0 < test_cdp1100.su | suspecfx | suop op=db | suxgraph & $ sufilter f=10,20,70,80 amps=0,1,1,0 < test_cdp1100.su | suximage perc=99&まず、海水中(0~6秒くらい)に反射波はないはずなので、この時間帯に見られる低周波数および高周波数の波群はノイズであると判断し、これらを除去することにする。 フィルタのパラメータを変えて波形表示をさせていろいろ試し、適切な値が見つかったらフィルタをかけて保存する。
$ sufilter f=?,?,?,? amps=0,1,1,0 < test_cdp1100.su > test_cdp1100_flt.su
 
 
図:スペクトルのカラー表示、(左)オリジナル、(右)バンドパスフィルタ適用後。
 
 
図:スペクトルのグラフ表示(dB表示)、(左)オリジナル、(右)バンドパスフィルタ適用後。
 
 
図:波形のイメージ表示、(左)オリジナル、(右)バンドパスフィルタ適用後。主に低周波数のノイズが低減されていることがわかる。
$ suximage perc=98 < test_cdp1100_flt.su & $ suop op=nop < test_cdp1100_flt.su | suattributes mode=amp | suop op=db | suxgraph &
$ sugain tpow=2.0 < test_cdp1100_flt.su | suattributes mode=amp | suop op=db | suxgraph &
$ sugain tpow=? < test_cdp1100_flt.su > test_cdp1100_flt_gain.su
 
 
図:波形の振幅表示、(左)適用前(フィルタ後)、(右)振幅回復(ゲイン)適用後。6 秒以降の振幅値がほぼフラットになっていることがわかる。
 
 
図:波形のイメージ表示、(左)適用前(フィルタ後)、(右)振幅回復(ゲイン)適用後。深部からの反射波の振幅が増加している。
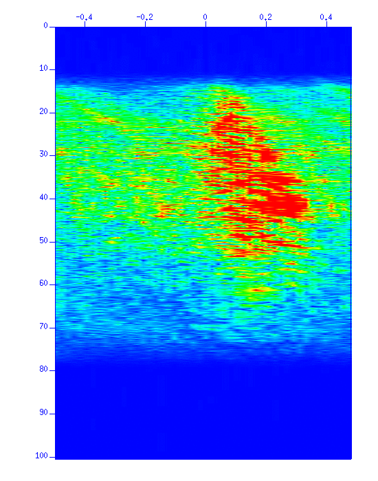
$ suspecfk < test_cdp1100_flt_gain.su | suximage perc=98 &
 
図:f-kスペクトル。
このデータは海上探査の記録であり、大きな表面波ノイズは記録されていない。 また、低周波数・低速度のノイズはバンドパスフィルタで除去されているので、 特に速度フィルタを適用する必要はないと思われる。省略してよい。
速度フィルタをショットギャザー(発震点記録)に対して適用するには、 ショット(発震点)ごとにループを回す処理が必要になるので、 スクリプトを書いて行うことになるだろう。
興味のある人はここを参考にして適用し、結果の違いを比べてみるとよいだろう。
前処理のための下調べはここまで。作成したファイル、例えば test_cdp1100_flt_gain.su(デコンボリューションをした人は test_cdp1100_flt_gain_decon.su に読み替える) は以後も使用するので消さないで置いておくこと。
$ sufilter f=?,?,?,? amps=0,1,1,0 < Nshots.su | sugain tpow=? | suresamp nt=2750 dt=0.004 > Ntmp.su? の部分に各自で決めた数値を入れる。
ちなみに、デコンボリューションを入れる人は以下のようになる。
$ sufilter f=?,?,?,? amps=0,1,1,0 < Nshots.su | sugain tpow=? | supef minlag=???? | sufilter f=?,?,?,? amps=0,1,1,0 | suresamp nt=2750 dt=0.004 > Ntmp.su
最後に、cdp 順にソートする。各CDP (CMP)の中は offset 順に並べておく。
$ susort cdp offset < Ntmp.su > Ncdps.su
これで前処理ができた。
-rw-r--r-- 1 watanabe staffs 214200680 Nov 7 12:17 Ncdps.su -rw-r--r-- 1 watanabe staffs 423827680 Nov 7 12:17 Nshots.suリサンプリングをしたので新しいデータは前のデータのほぼ半分のサイズになっている。 Ntmp.su は不要なので消去してよい。